Το Ευρωπαϊκό Δικαστήριο απέρριψε την προσφυγή της Σλοβακίας και της Ουγγαρίας κατά της υποχρέωσής τους να φιλοξενήσουν πρόσφυγες στο πλαίσιο του ευρωπαϊκού προγράμματος μετεγκατάστασης προσφύγων που επιβάλλει ποσοστώσεις στις χώρες μέλη της Ευρωπαϊκής Ενωσης.
Οι συνεργάτες του ειδικού ανακριτή Ρόμπερτ Μιούλερ προσέγγισαν την αρμόδια επιτροπή της Γερουσίας το καλοκαίρι με ένα ειδικό αίτημα: ζήτησαν αντίγραφο της κατάθεσης που είχε δώσει στην επιτροπή, ο πρώην πρόεδρος της προεκλογικής εκστρατείας του προέδρου Ντόναλντ Τραμπ, Πολ Μάναφορτ. Ωστόσο, η πρόσβασή τους στο υλικό αυτό δεν κατέστη δυνατή, μετά από την άρνηση των δικηγόρων του Μάναφορτ.
Ο γενικός εισαγγελέας της Βραζιλίας απήγγειλε την Τρίτη κατηγορίες εναντίον δύο πρώην προέδρων, του Λουίς Ινάσιου Λούλα ντα Σίλβα και της Ντίλμας Ρουσέφ, καθώς και εναντίον άλλων στελεχών του Κόμματος Εργαζομένων (PT), για σύσταση και συμμορία, στο πλαίσιο της έρευνας για το μεγαλύτερο σκάνδαλο διαφθοράς στην ιστορία της χώρας. Ο εισαγγελέας Χοντρίγκου Ζανό ανέφερε στο […]
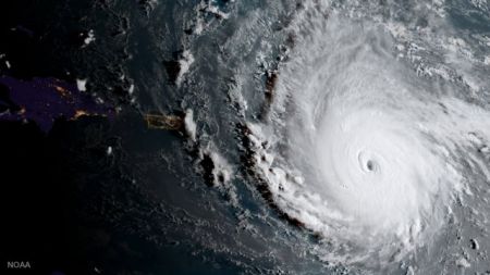
Τα γαλλικά νησιά του Αγίου Βαρθολομαίου και του Αγίου Μαρτίνου τέθηκαν σε κατάσταση ύψιστου συναγερμού ενόψει της έλευσης του κυκλώνα Ίρμα, ο οποίος απειλεί τις Μικρές Αντίλλες.
Η Κομισιόν αναμένεται να ζητήσει σήμερα από τα κράτη μέλη της ΕΕ να πάρουν θέση όσον αφορά το εάν η κυβέρνηση της Πολωνίας παραβαίνει τα ευρωπαϊκά δημοκρατικά πρότυπα, δήλωσαν χθες τρεις πηγές στο πρακτορείο ειδήσεων Reuters, καθώς οι Βρυξέλλες μοιάζουν να οδεύουν προς νέα κλιμάκωση της πίεσης που ασκούν στη Βαρσοβία.
Το Δικαστήριο της Ευρωπαϊκής Ένωσης (ECJ) αναμένεται σήμερα να απορρίψει την προσφυγή κρατών μελών της ΕΕ από την ανατολική Ευρώπη τα οποία επιδίωκαν να μην υποδεχθούν πρόσφυγες από τη Μέση Ανατολή ή την Αφρική.
Οι σημερινές διεθνείς προκλήσεις καθιστούν επιτακτική την ανάγκη για μια ενοποιημένη και ισχυρή παρουσία των χωρών της ομάδας BRICS, που εισέρχεται στην δεύτερη δεκαετία από την συγκρότησή της.
Οι υπηρεσίες ασφαλείας της Λιβύης γνωστοποίησαν την Τρίτη ότι τα πτώματα 16 μεταναστών βρέθηκαν στην έρημο, κοντά στα σύνορα της χώρας με την Αίγυπτο. Οι σοροί εντοπίστηκαν περίπου 310 χιλιόμετρα νοτιοδυτικά του Τομπρούκ, διευκρίνισε ο Αχμεντ αλ Μισμάρι, εκπρόσωπος του Λιβυκού Εθνικού Στρατού, της δύναμης που έχει συστήσει ο στρατηγός Χαλίφα Χάφταρ και υποστηρίζει την […]
Διακεκριμένη ινδή δημοσιογράφος, η Γκόρι Λανκές, έπεσε νεκρή από τις σφαίρες αγνώστων που επέβαιναν σε μοτοσικλέτα στην Μπανγκαλόρ (νότια Ινδία), γνωστοποίησε ο κυβερνήτης του ομόσπονδου κρατιδίου Καρνατάκα. Ο κυβερνήτης Σινταραμάια έγραψε στο Twitter ότι είναι «απόλυτα σοκαρισμένος» μετά την είδηση «του φόνου της διάσημης δημοσιογράφου Γκόρι Λανκές. Δεν έχω λόγια για να καταδικάσω αυτό το […]
Ο αμερικανός πρόεδρος Ντόναλντ Τραμπ δήλωσε ότι έχει «μεγάλη καρδιά» για τους παράτυπους μετανάστες που ήρθαν ως ανήλικοι στις ΗΠΑ (αποκαλούμενοι και ως Ονειροπόλοι, Dreamers) και επιθυμεί το Κογκρέσο να καταλήξει σε νομοθετική επίλυση για αυτούς. «Εχω μια μεγάλη καρδιά για τους ανθρώπους για τους οποίους μιλάμε, μια μεγάλη αγάπη για αυτούς», τόνισε ο Τραμπ, […]
Ο πρώην πρόεδρος των ΗΠΑ Μπαράκ Ομπάμα χαρακτήρισε «βάρβαρη», «αυτοκαταστροφική» και «λανθασμένη» την απόφαση της κυβέρνησης Τραμπ για την κατάργηση του προγράμματος προστασίας από την απέλαση μεταναστών που είχαν εισέλθει στη χώρα παράτυπα όταν ήταν ακόμη ανήλικοι.
Εντονες αντιδράσεις επιχειρηματιών, πολιτικών και εκπροσώπων οργανώσεων ανθρωπίνων δικαιωμάτων προκάλεσε η ανακοίνωση της κυβέρνησης Τραμπ για κατάργηση του προγράμματος προστασίας ανήλικων μεταναστών (DACA).
Φράχτες ήδη υψώνονται σε ορισμένα τμήματα των συνόρων ΗΠΑ-Μεξικού. Όπως είναι γνωστό, ο πρόεδρος Ντόναλντ Τραμπ θέλει να τους ενισχύσει και να τους επεκτείνει κατά μήκος και των 3.200 χιλιομέτρων των συνόρων. Το κόστος όμως είναι απαγορευτικό και το αποτέλεσμα αμφίβολο, τονίζει μελέτη του Brookings.
Οι αριθμοί είναι ζοφεροί: σε ανθρωπιστική καταστροφή με 120.000 απελπισμένους πρόσφυγες, άνδρες, γυναίκες και
Ο πρόεδρος της Ρωσίας Βλαντιμίρ Πούτιν θα συναντηθεί στις 6 Σεπτεμβρίου, με τον ομόλογό του της Νότιας Κορέας Μουν Τζε-ιν, προκειμένου να συζητήσουν την κατάσταση μετά την έκτη πυρηνική δοκιμή που πραγματοποίησε η Πιονγκγιάνγκ, ανακοίνωσε ο εκπρόσωπος του Κρεμλίνου.
Η Γαλλία θα αποκτήσει εξοπλισμένα μη επανδρωμένα, τηλεχειριζόμενα αεροσκάφη, ακολουθώντας το παράδειγμα των Ηνωμένων Πολιτειών, του Ισραήλ, της Βρετανίας και της Ιταλίας, ανακοίνωσε την Τρίτη η υπουργός Ενόπλων Δυνάμεων Φλοράνς Παρλί.
Ο ευρωπαίος επίτροπος Οικονομικών Υποθέσεων Πιέρ Μοσκοβισί κατήγγειλε την Τρίτη ένα «ογκώδες δημοκρατικό έλλειμμα» στην ευρωζώνη, η οποία οφείλει, σύμφωνα με τον ίδιο, να μεταρρυθμιστεί στη βάση προτάσεων που παρουσιάσθηκαν τον Μάιο από την Ευρωπαϊκή Επιτροπή.
Στην τελευταία συνεδρίαση της γερμανικής βουλής έγινε ένας απολογισμός της θητείας της αλλά και μια έντονη προεκλογική αντιπαράθεση με το βλέμμα στραμμένο στην 24η Σεπτεμβρίου.
Η Βόρεια Κορέα ανακοίνωσε την Τρίτη ότι η τελευταία πυρηνική δοκιμή που πραγματοποίησε την Κυριακή ήταν ένα δώρο για τις ΗΠΑ, ενώ προειδοποίησε ότι θα υπάρξουν και άλλα.
«Η πολιτική κατάσταση στην Τουρκία» δεν «επιτρέπει να σκεφτούμε τη συνέχιση των διαπραγματεύσεων» για την ένταξή της στην Ευρωπαϊκή Ένωση, εκτίμησε σήμερα ο εκπρόσωπος της γαλλικής κυβέρνησης, Κριστόφ Καστανέρ.