Με καριέρα άνω των έξι 10ετιών, ηχογράφησε πάνω από 30 άλμπουμ, βραβεύτηκε με Γκράμι και απέκτησε μια θέση στο Rock & Roll Hall of Fame
Ο τυφώνας Μελίσσα κατέστρεψε πολλές περιοχές στην Τζαμάικα και προκάλεσε πλημμύρες στην Αϊτή και στην Κούβα.
Ο τυφώνας Μελίσα, ο οποίος κατέστρεψε μεγάλα τμήματα της Τζαμάικας και πλημμύρισε την Αϊτή και την Κούβα, άφησε πίσω του σχεδόν 60 νεκρούς κατά το πέρασμά του από την Καραϊβική - 28 οι νεκροί στη Τζαμάικα
Ο αριθμός των νεκρών είναι πιθανό να αυξηθεί.
Οι κάτοικοι στην Τζαμάικα ψάχνουν τροφή στα συντρίμμια - Λεηλασίες φαρμακείων, «χρειαζόμαστε βοήθεια» λένε
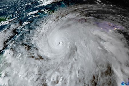
Ο τυφώνας «Μελίσσα», ένας από τους ισχυρότερους που έχουν καταγραφεί στην Καραϊβική, αφήνει πίσω του δεκάδες νεκρούς και καταστροφές, ενώ επιταχύνει προς τις Βερμούδες.
Σε μια στιγμή που οι εσωκομματικές τριβές απειλούν την κυβερνητική συνοχή, η κοινή εμφάνιση Μητσοτάκη και Δένδια στο Πεντάγωνο λειτούργησε ως μήνυμα συσπείρωσης, στη σκιά του Αγνώστου Στρατιώτη. Το ερώτημα είναι αν αυτή η «ανακωχή» θα κρατήσει και πέρα από τα φώτα της τελετής
Ισχυρές καταστροφές και δεκάδες νεκροί τις τελευταίες ώρες στην Αϊτή και την Τζαμάικα από τον τυφώνα Μελίσσα
Η Κούβα είχε κηρύξει «κατάσταση συναγερμού» σε έξι επαρχίες στο ανατολικό της τμήμα, ενώ ο πρωθυπουργός της Τζαμάικα Άντριου Χόλνες χαρακτήρισε τη χώρα «πληγείσα ζώνη».
Ο τυφώνας Μελίσσα κατευθύνεται προς την Κούβα - Επτά μέχρι στιγμής οι νεκροί, χιλιάδες σε καταφύγια - Εγκαταλείπουν ήδη τα σπίτια τους οι Κουβανοί
Αν και ο Τζέι Ντι Βανς, ως εκπρόσωπος των ΗΠΑ, διαβεβαιώνει ότι η εκεχειρία στη Γάζα θα διατηρηθεί, η κατάσταση παραμένει εύθραυστη, καθώς οι πρόσφατες σφοδρές επιθέσεις του Ισραήλ στον παλαιστινιακό θύλακα εγείρουν σοβαρές αμφιβολίες για τη σταθερότητά της.
Ο τυφώνας Μελίσσα είναι «ένας από τους ισχυρότερους που έχει καταγραφεί ποτέ στον Ατλαντικό», σύμφωνα με την ανακοίνωση του Αμερικανικού Εθνικού Κέντρου Κυκλώνων.
Ειδικοί εκτιμούν ότι ο τυφώνας «Μελίσσα» ενδέχεται να είναι ισχυρότερος από τον «Κατρίνα» που χτύπησε πριν από 20 χρόνια την Φλόριντα των ΗΠΑ, αφήνοντας πίσω του τεράστιες καταστροφές και περισσότερους από 1.000 νεκρούς.
Η Τζαμάικα βρίσκεται αντιμέτωπη με τον ισχυρότερο κυκλώνα στην ιστορία της και τον πιο σφοδρό που έχει καταγραφεί φέτος στον πλανήτη
Ακραία καιρικά φαινόμενα σε Τζαμάικα και Κούβα, προειδοποιήσεις για «πρωτοφανείς ζημιές» και πλημμύρες - Ο τυφώνας κινείται αργά προς βορειοανατολικά, με τα βλέμματα στραμμένα στις Βερμούδες.
Ο κυκλώνας Μελίσα πλησιάζει την Τζαμάικα ως μία «καταστροφική» καταιγίδα. Παράλληλα, αξιωματούχοι σε ολόκληρη την Καραϊβική άνοιξαν καταφύγια και εκκένωσαν οικισμούς σε περιοχές με χαμηλό υψόμετρο.
Στίγμα για τους «διαδόχους» του Γιουσέιν Μπολτ ο αποκλεισμός της τζαμαϊκανής ομάδας 4x100 ανδρών από τον τελικό των Ολυμπιακών - Για πρώτη φορά από το 1976 χωρίς μετάλλιο οι Τζαμαϊκανές στα 100 ή στα 200 μέτρα των Ολυμπιακών Αγώνων.