Οι Αρχές της Αυστραλίας περιόρισαν το πεδίο έρευνας για τη χαμένη πτήση ΜΗ370 σε μία ζώνη δεκάδων τετραγωνικών χιλιομέτρων στον νότιο Ινδικό Ωκεανό και δηλώνουν πεπεισμένοι ότι το Boeing 777 της Malaysia Airlines, που παραμένει άφαντο από τις 8 Μαρτίου του 2014, έχει καταπέσει στο σημείο αυτό.
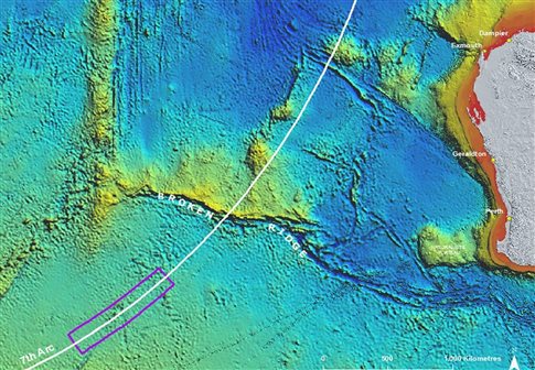
Η έρευνα για την πτήση ΜΗ370 εκτείνεται σε μία περιοχή 120.000 τετραγωνικών χιλιομέτρων και μέχρι τώρα δεν έχει αποδώσει κανένα αποτέλεσμα.
Το μόνο εύρημα από τη συντριβή του αεροσκάφους ήταν ένα κομμάτι από πηδάλιο της πτέρυγας (flaperon) που βρέθηκε στο νησί Ρεϊνιόν, στον δυτικό Ινδικό Ωκεανό, πολλές χιλιάδες χιλιόμετρα από το σημείο των ερευνών.
Από την παραπάνω έκταση, υψηλή προτεραιότητα δίνεται πλέον σε μία περιοχή 98.000 τετραγωνικών χιλιομέτρων, από την οποία έχουν ήδη ερευνηθεί τα 54.000 τετραγωνικά χιλιόμετρα. Το 7% της έκτασης αυτής πρέπει να ψαχτεί εκ νέου, λόγω ατελειών στην ηχοβολιστική έρευνα.
Και νέα εξελιγμένα μέσα στις έρευνες
Κατά τους χειμερινούς μήνες στις έρευνες συμμετείχαν δύο πλοία εξοπλισμένα με σόναρ. Σε αυτά θα προστεθεί ένα τρίτο πλοίο, το οποίο έχει τη δυνατότητα να αναπτύξει ένα μη επανδρωμένο βαθυσκάφος με κάμερα.
Τα παραπάνω σκάφη θα συνδράμει από τον Ιανουάριο ένα κινεζικό πλοίο, το οποίο διαθέτει σόναρ τελευταίας τεχνολογίας και μέγιστης δυνατής ακρίβειας (Synthetic Aperture Sonar). Το πλοίο αυτό θα αναλάβει τον επανέλεγχο μιας δύσκολης περιοχής, στην τάφρο που διαπερνά τη ζώνη των ερευνών.
Για τον περιορισμό της έκτασης στην τρέχουσα περιοχή υψηλής προτεραιότητας χρησιμοποιήθηκε ένα νέο μαθηματικό μοντέλο, καθώς και δεδομένα από χιλιάδες πτήσεις. Το τελικό αποτέλεσμα δοκιμάστηκε σε πραγματικές πτήσεις και προέβλεψε με ακρίβεια το ίχνος τους.
«Διατηρούμε την ελπίδα μας, για την ακρίβεια είμαστε αισιόδοξοι, ότι θα εντοπίσουμε το αεροσκάφος» δήλωσε ο αναπληρωτής πρωθυπουργός της Αυστραλίας, Ουόρεν Τρους. Οπως πρόσθεσε, η νέα ανάλυση είναι «πραγματικά ενθαρρυντική» για το ότι βρίσκονται στον σωστό δρόμο.



